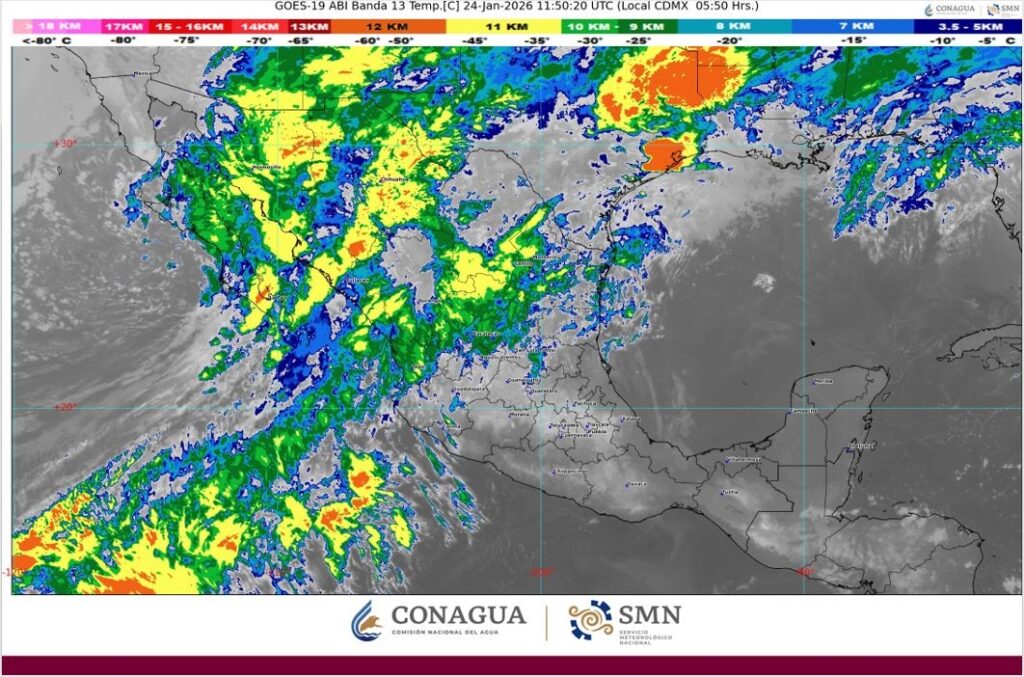
Para este sábado 24 de enero, la tercera tormenta invernal de la temporada, originada por una circulación ciclónica en altura, el frente frío 31, un río atmosférico y las corrientes en chorro polar y subtropical, se desplazará sobre la península de Baja California, ocasionando un marcado descenso de las temperaturas; lluvias puntuales muy fuertes en Baja California Sur, Sonora, Chihuahua, Sinaloa y Durango, y lluvias fuertes en Baja California. Asimismo, se prevén vientos con rachas de 50 a 70 km/h en Baja California, Baja California Sur, Sonora, Chihuahua y Durango, además existen condiciones para nevadas en sierras de los estados mencionados, excepto Baja California Sur.
Asimismo, este sábado 24 de enero la tercera tormenta invernal y el frente frío 31, recorrerán el noroeste de México y mantendrán temperaturas frías a gélidas, vientos fuertes a intensos y lluvias fuertes a muy fuertes en las regiones mencionadas, con lluvias puntuales intensas en Durango. Se prevé que el frente frío 31 se disipe en el transcurso de la tarde. Por su parte, el arrastre de humedad favorecido por el río atmosférico ocasionará lluvias y chubascos en el occidente del país, con lluvias puntuales fuertes en Nayarit. Por su parte, el ingreso de humedad proveniente del océano Pacífico generará lluvias y chubascos en el sur y sureste del país. Finalmente, continuará el ambiente frío a muy frío durante la mañana y noche, con bancos de niebla matutinos sobre entidades de la Mesa Central, incluido el Valle de México.
Consulta el #PronósticoDelTiempo para esta noche y el fin de semana en #México en voz de nuestro experto. ¡Reproduce nuestro #VideoPronóstico, protégete del #Frío, mantente bien informado y disfruta del fin de semana! pic.twitter.com/aLS5VeSTeb
— CONAGUA Clima (@conagua_clima) January 24, 2026
¿Dónde lloverá este sábado 24 de enero?
Lluvias muy fuertes con puntuales intensas (75 a 150 mm)
- Durango
Lluvias fuertes con puntuales muy fuertes (50 a 75 mm)
- Baja California Sur
- Sonora
- Chihuahua
- Sinaloa
Chubascos con lluvias puntuales fuertes (25 a 50 mm)
- Baja California
- Coahuila
- Nayarit
Intervalos de chubascos (5 a 25 mm)
- Nuevo León
- Tamaulipas
- Zacatecas
- Jalisco
- Oaxaca
Lluvias aisladas (0.1 a 5 mm)
- Michoacán
- Guerrero
- Veracruz
- Puebla
- Chiapas
- Quintana Roo
Lluvia engelante:
- Zacatecas
Posibles nevadas:
- Sierras de Baja California, Sonora, Chihuahua, Sinaloa, Coahuila y Durango
Las lluvias podrían generar encharcamientos, inundaciones, deslaves y el aumento de niveles de ríos y arroyos. Las bajas temperaturas por tormenta invernal podrían congelar la carpeta asfáltica y las rachas de viento podrían ocasionar la caída de árboles y anuncios publicitarios.
#Pronóstico #Meteorológico General de las 06:00 horas consúltalo en:https://t.co/R8Yan9vLdN pic.twitter.com/nWKLmFkpON
— CONAGUA Clima (@conagua_clima) January 24, 2026
¿Cómo estará la temperatura en el país este sábado 24 de enero?
Temperaturas máximas esperadas:
- 35 a 40 °C: Guerrero, Oaxaca y Chiapas
- 30 a 35 ° C: Tamaulipas, San Luis Potosí, Colima, Michoacán, Morelos, Puebla, Campeche, Yucatán y Quintana Roo
Temperaturas mínimas esperadas:
- -10 a -5 °C con heladas: zonas serranas de Chihuahua y Durango
- -5 a 0 °C con heladas: zonas serranas de Baja California, Sonora, Coahuila, Nuevo León, San Luis Potosí, Zacatecas, Hidalgo, Estado de México, Tlaxcala, Puebla, Veracruz y Oaxaca
- 0 a 5 °C: zonas serranas de Aguascalientes, Jalisco, Michoacán, Guanajuato, Querétaro y Ciudad de México
Vientos y oleaje:
- Viento de 80 a 100 km/h: Chihuahua, Coahuila, Durango y Zacatecas
- Viento de 50 a 80 km/h: Baja California Sur, Sonora, Sinaloa, Nuevo León, San Luis Potosí, Aguascalientes, Jalisco y Durango
- Viento de 30 a 60 km/h: Baja California, Querétaro, Estado de México, Ciudad de México, Tabasco, Campeche, Yucatán, Quintana Roo y Tamaulipas
- Oleaje de 2 a 3 metros de altura: Tamaulipas
¿Cómo estará el clima en el Valle de México?
- Toluca (Estado de México): Mínima de 0 a 2 °C y máxima de 19 a 21 °C, con ambiente muy frío por la mañana y sin probabilidad de lluvia.
- Ciudad de México: Por la mañana, ambiente frío y nublado; por la tarde, ambiente templado, cielo nublado y sin posibilidad de lluvia. Temperatura mínima de 8 a 10 °C y máxima de 22 a 24 °C. Viento de 10 a 20 km/h con rachas de hasta 50 km/h.
- Trump sustituye a la secretaria de Seguridad Nacional, Kristi Noem, en pleno cierre del departamento - 05/03/2026
- Milena Quiroga cumple y devuelve seguridad al Callejón del Artesano; 120 mil visitantes al año recuperan un espacio histórico del Centro - 05/03/2026
- Entrega Milena Quiroga equipamiento y supervisa rehabilitación del Rastro Municipal - 05/03/2026

